- Διαμορφώνεται πλήρως η ποδηλατική διαδρομή: Βενιζέλου, Φιλελλήνων, Μεγ. Αλεξάνδρου, Ηλιοδώρου, Ρούσβελτ, Ιουστινιανού και Νικηταρά που κατασκευάζεται
- Ποδηλατική ασφαλή πρόσβαση προς το κέντρο για τους κατοίκους των συνοικιών Νέα Σμύρνη και ΑΤΑ
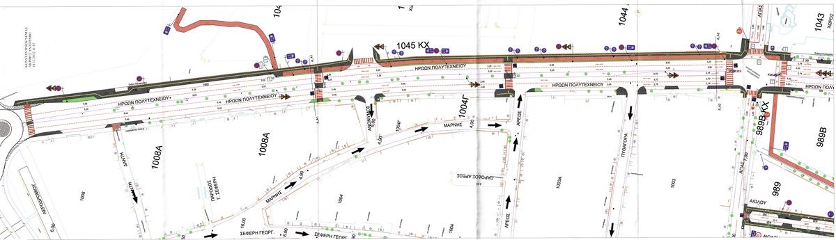
Το έργο της ανακατασκευής της οδού Αιόλου με παρεμβάσεις και στις οδού Βυζαντίου και Ηρώων Πολυτεχνείου προχωρά ο Δήμος Λαρισαίων στο πλαίσιο του Σχεδίου Βιώσιμης Αστικής Κινητικότητας.
Το έργο με τίτλο « Δημιουργία Εκτεταμένου δικτύου πεζοδρόμων και ποδηλατικών διαδρομών (Αιόλου, Βυζαντίου, Ηρώων Πολυτεχνείου) το οποίο έχει προκηρυχθεί και βρίσκεται στο στάδιο της ανάδειξης προσωρινού αναδόχου, αφορά στην πλήρη ανακατασκευή της οδού Αιόλου από την οδό 23ης Οκτωβρίου έως την οδό Αγιάς σε διατομή ενιαίας στάθμης, της οδού Βυζαντίου από την οδό Υψηλάντου έως την οδό 23ης Οκτωβρίου, τμήματα των οδών Λουκιανού και Χατζηζωγίδου και τμήμα της οδού Ηρώων Πολυτεχνείου από την οδό Αγιάς έως την οδό Αεροδρομίου (εμπρός από το ΑΤΑ) ώστε να ενταχθεί σε αυτές ποδηλατόδρομος διπλής κυκλοφορίας συνολικού μήκους 1500 μ.
Το συγκεκριμένο έργο είναι ιδιαίτερα σημαντικό αφού με την ολοκλήρωσή του ο κατασκευασμένος ποδηλατόδρομος των οδών Βενιζέλου, Φιλελλήνων, Μεγ. Αλεξάνδρου, Ηλιοδώρου, Ρούσβελτ, Ιουστινιανού συνδέεται με τον ποδηλατόδρομο της οδού Νικηταρά (το έργο είναι σε εξέλιξη) και καταλήγει στο νεοκατασκευασθέν τμήμα της Τάφρου Ι1, δημιουργώντας έτσι ασφαλή πδοηλατική διαδρομή προς το κέντρο από τις συνοικίες του ΑΤΑ και της Νέας Σμύρνης.
Το έργο είναι προυπολογισμού 3, 1 εκατ ευρώ (περιλαμβανομέου ΦΠΑ) και χρηματοδοτείται από το ΕΣΠΑ/ΠΕΠ Θεσσαλίας 259,77

Η ανακατασκευή της οδού Αιόλου με ενιαιο οδόστρωμα και ποδηλατόδρομο διαμορφώνει συνθήκες μεγαλύτερης ασφάλειας στους εκατοντάδες μαθητές των σχολικών μονάδων της περιοχής
Στο πλαίσιο του έργου προβλέπεται η ανακατασκευή της οδού Βυζαντίου που «κουμπώνει» με τον ποδηλατόδρομο της Ιουστινιανού

Παρεμβάσεις προβλέπονται και επί της Ηρώων Πολυτεχνείου με τα διαμόρφωση ποδηλατοδρόμου από την Αγιάς μέχρι την ανάπλαση της τάφρου Ι1 (ανάχωμα πίσω από το ΑΤΑ)
